Culy ontdekt… zelf oesters plukken op het wad
Zelf oesters plukken? Op het Nederlandse wad is het mogelijk en liggen de oesters voor het oprapen. Verser dan vers, en de smaak… To die for!
De oesters die je in de Nederlandse Waddenzee vindt zijn van oorsprong Japans en zijn hier tientallen jaren geleden geïntroduceerd ter stimulatie van de handel in oesters. Denk je nu: “deze soort heb ik nog nooit geproefd”? Dan heb je het waarschijnlijk mis! De bekende Zeeuwse creuse is namelijk stiekem dezelfde soort, alleen leeft hij in de Zeeuwse wateren in plaats van in het noorden.
:format(jpeg):background_color(fff)/https%3A%2F%2Fwww.culy.nl%2Fwp-content%2Fuploads%2F2014%2F10%2Foesters0009.jpg)
:format(jpeg):background_color(fff)/https%3A%2F%2Fwww.culy.nl%2Fwp-content%2Fuploads%2F2014%2F10%2Foesters0002.jpg)
Het wad op
Er zijn verschillende plekken om de oesters te verzamelen en Culy deed dit in de haven van Lauwersoog, waar de boot van het vasteland naar Schiermonnikoog vertrekt. Hier kun je gemakkelijk de auto parkeren en zeker in het weekend is het er erg rustig.
Bij aankomst zie je de vele oesters al liggen en als je richting het water loopt alleen maar meer. Het enige wat je nu nog hoeft te doen is de gesloten (en dus nog levende) oesters los te wrikken. Doe dit voorzichtig en met beleid, en binnen enkele minuten heb je al een tasje vol!
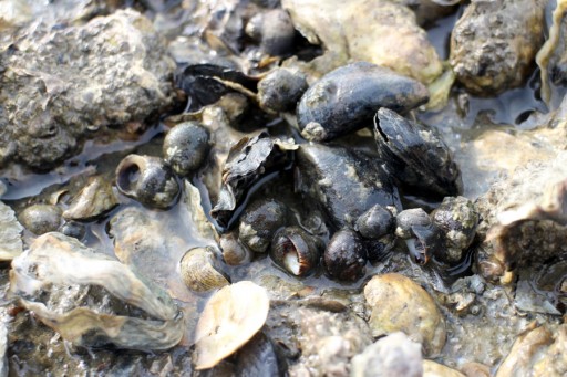
Er liggen overigens niet alleen maar oesters hier. Ook vind je er mosselen en kokkeltjes. Minstens net zo lekker!
:format(jpeg):background_color(fff)/https%3A%2F%2Fwww.culy.nl%2Fwp-content%2Fuploads%2F2014%2F10%2Foesters0008.jpg)
:format(jpeg):background_color(fff)/https%3A%2F%2Fwww.culy.nl%2Fwp-content%2Fuploads%2F2014%2F10%2Foesters0004.jpg)
:format(jpeg):background_color(fff)/https%3A%2F%2Fwww.culy.nl%2Fwp-content%2Fuploads%2F2014%2F10%2Foesters0007.jpg)
Niet alleen oesters, ook mosselen en kokkeltjes vind je hier!
Waar moet je op letten?
Bij de kust heb je te maken met getijden (wisselingen van de waterstand). Het zou zonde zijn als je aankomt en je kunt niks doen, dus check ruim van tevoren (een aantal dagen) hoe laat het water laag staat voor je een planning maakt. Actuele informatie vind je hier.
Je kunt vies worden. Sterker nog: je zal vies worden. Neem daarom een paar rubber laarzen mee en trek niet je mooiste kleding aan. Breng daarbij een grote emmer of koeltas mee om de oesters in te bewaren.
:format(jpeg):background_color(fff)/https%3A%2F%2Fwww.culy.nl%2Fwp-content%2Fuploads%2F2014%2F10%2Foesters0001.jpg)
:format(jpeg):background_color(fff)/https%3A%2F%2Fwww.culy.nl%2Fwp-content%2Fuploads%2F2014%2F10%2Foesters0005.jpg)
De verse oesters liggen voor het oprapen in het water. Pak wel alleen de dichte, als ze open zijn leven ze namelijk niet meer.
Omdat er zoveel liggen, ben je snel geneigd emmers vol mee te nemen. Bedenk echter wel van tevoren wat je ermee gaat doen en hoeveel je er ongeveer nodig hebt. Je kunt ze namelijk niet heel lang bewaren en het is zonde als je er veel te veel meeneemt.
Je zult je nu misschien afvragen, mag dit wel? Ja, het is wettelijk toegestaan om per persoon maximaal tien kilo oesters te plukken. Hierbij is het wel van belang dat je dit doet op bij laag water toegankelijke stukken en niet binnen de commerciële oesterpercelen.
Wij vonden het een ontzettend gave ervaring en zeker voor herhaling vatbaar. Heb jij het weleens zelf gedaan? We zijn benieuwd!

:format(jpeg):background_color(fff)/https%3A%2F%2Fwww.culy.nl%2Fwp-content%2Fuploads%2F2014%2F10%2Foesters0006.jpg)
:format(jpeg):background_color(fff)/https%3A%2F%2Fwww.culy.nl%2Fwp-content%2Fuploads%2F2014%2F10%2Foesters0003.jpg)